Регион

Делегация акимата Усть-Каменогорска посетила столицу Татарстана

Делегация акимата Усть-Каменогорска посетила столицу Татарстана

Гости ознакомились с опытом Казани по градостроительству, возведению дорог, развитию спортивной инфраструктуры.

 Елабужская ЦРБ пополнилась новым оборудованием

 Елабужская ЦРБ пополнилась новым оборудованием

Травматологическое отделение Елабужской ЦРБ пополнилось новым оборудованием.

Республиканский конкурс профессионального мастерства  «Алабуга-skills» стартует 13 февраля

Республиканский конкурс профессионального мастерства  «Алабуга-skills» стартует 13 февраля

С 13 по 16 февраля в Елабуге пройдет открытый республиканский конкурс профессионального мастерства «Алабуга-skills».

О проекте«СЕМЬЯ — ОСНОВА МИРА»

О проекте«СЕМЬЯ — ОСНОВА МИРА»

В 2022 году по инициативе Уполномоченного по правам ребенка в Республике Татарстан был дан старт многоэтапному Всероссийскому социальному просемейному проекту «Семья.

Челнинские команды участвуют на фестивале КВН «КиВиН-2023»

Челнинские команды участвуют на фестивале КВН «КиВиН-2023»

С 12 по 24 января в Сочи пройдёт 34-й Международный Фестиваль команд КВН «КиВиН-2023».

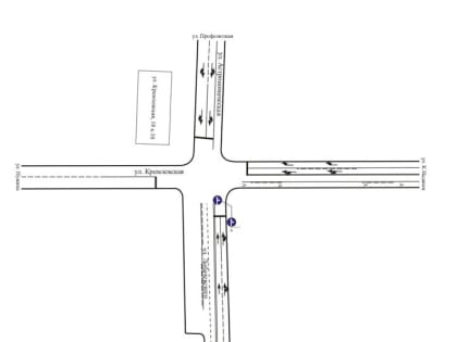
В Казани изменится схема движения на перекрестке улиц Кремлевская и Лобачевского

В Казани изменится схема движения на перекрестке улиц Кремлевская и Лобачевского

В Вахитовском районе с завтрашнего дня, 17 января, изменится схема проезда на перекрестке улиц Кремлевская и Лобачевского.

У крещенской купели в Челнах появилась снежная фигура Ангела

У крещенской купели в Челнах появилась снежная фигура Ангела

В Набережных Челнах у купели на Мелекеске, неподалеку от храма Серафима Саровского, появилась снежная фигура Ангела.

Детский сад «Крепыш» закупил тактические аптечки военнослужащим

Детский сад «Крепыш» закупил тактические аптечки военнослужащим

 Организация деятельности волонтёрского движения в детском саду – это уникальная возможность влиять на формирование и развитие личности ребенка и гарантия того, что наши дети вырастут патриотами, открытыми, честными,

В казанской мечети Марджани добровольцы плетут маскировочные сети для бойцов СВО

В казанской мечети Марджани добровольцы плетут маскировочные сети для бойцов СВО

Сетки изготавливают из рыболовных сетей и лоскутов ткани.